このページを印刷する
- 価格
-
3,118万円
| 所在地 | 東京都葛飾区奥戸2丁目 |
|---|---|
| 交通 |
|
| 駐車場 | 取引態様 | ||
|---|---|---|---|
| 引渡/入居時期 | 相談 | 現況 | 更地 |
| 地目 | 宅地 | 用途地域 | 工業 |
| 都市計画 | 市街化区域 | 地勢 | 平坦 |
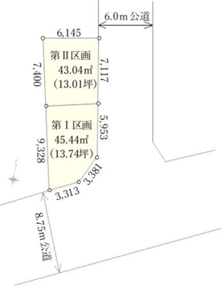
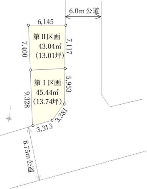
| 土地面積 | 43.04m²(13.01坪) | 土地面積計測方式 | 実測 |
| セットバック | 無 | セットバック面積 | |
| 建ぺい率 | 60% | 容積率 | 200% |
| 土地権利 | 所有権 | 接道状況 | 一方 |
| 接道方向1 | 東 | 接道間口1 | 7.11m |
| 接道種別1 | 公道 | 接道幅員1 | 6.0m |
| 位置指定道路1 | |||
| 国土法届出 | 不要 | ||
| 周辺環境 | |||
| 設備・条件 |
|
||
| 自社物 | 自社物 | 状態 | 売出中 |
| 物件番号 | 5286 | ||
| 情報登録日 | 2026年3月13日 | 情報更新日 | 2026年4月27日 |
物件掲載内容と現況に相違がある場合は現況を優先といたします。









