江戸川区・葛飾区で不動産の売買、仲介、買取なら快晴ホーム

株式会社快晴ホーム

営業時間10:00~18:00

定休日火曜日・水曜日

info@kaisei-home.co.jp

メールで問い合わせ

物件一覧

売買:京成押上線

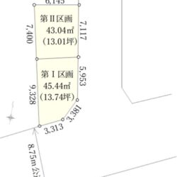
  • 更新売地奥戸2丁目売地 第Ⅱ区画

    43.04m²

    東京都葛飾区奥戸2丁目

    • 京成押上線京成立石駅徒歩14分

    価格3,118

    • 現地(2026年3月6日撮影)
    • 区画図
    • 第Ⅱ区画建物プラン例 建物価格2080万円、 建物面積87.01㎡(※車庫面積含)間取
    • 現地(2026年3月6日撮影)
    • 南側前面道路と現地(2026年3月6日撮影)
    面積
    43.04m²
  • 更新売地奥戸2丁目売地 第Ⅰ区画

    45.44m²

    東京都葛飾区奥戸2丁目

    • 京成押上線京成立石駅
    • 京成押上線京成立石駅徒歩14分

    価格3,418

    • 現地(2026年3月6日撮影)
    • 区画図
    • 第Ⅰ区画建物プラン例 建物価格2080万円、 建物面積90.48㎡(車庫面積含)間取
    • 現地(2026年3月6日撮影)
    • 南側前面道路と現地(2026年3月6日撮影)
    面積
    45.44m²